Prodej - pozemek pro bydlení, 515 m²
Prodej pozemku 515 m2 k bydlení v Žulové
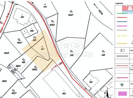
Nabízíme Vám ke koupi pozemek o celkové výměře 515 m2 určený územním plánem k výstavbě rodinného domu, který se nachází na okraji města Žulová. Pozemek se skládá ze dvou parcel. První parcela o výměře 190 m2 je vedena jako zbořeniště na katastru nemovitostí a dříve tu stála nemovitost. Druhá parcela o výměře 325 m2 je vedená jako zahrada. Pozemek se nachází v klidné části města u silnice a je ve svahu. Pozemek je vhodný na výstavbu rodinného domu, či umístění montovaného domu. Či pozemek využívat k rekreaci. Město Žulová nabízí dobrou občanskou vybavenost v pěším dosahu. Místo je také vhodné, jako výchozí bod k výletům z důvodu, že nedaleko jsou Jeseníky, Dolní Morava, či Přečerpávací elektrárna Dlouhé Stráně. Doporučujeme prohlídku. Více informací u makléře. S případným financováním nemovitosti, Vám rádi pomůžeme.


