Prodej - pozemek, zemědělská půda, 52 855 m²
Zemědělská půda, prodej, Vlastiboř, Tábor
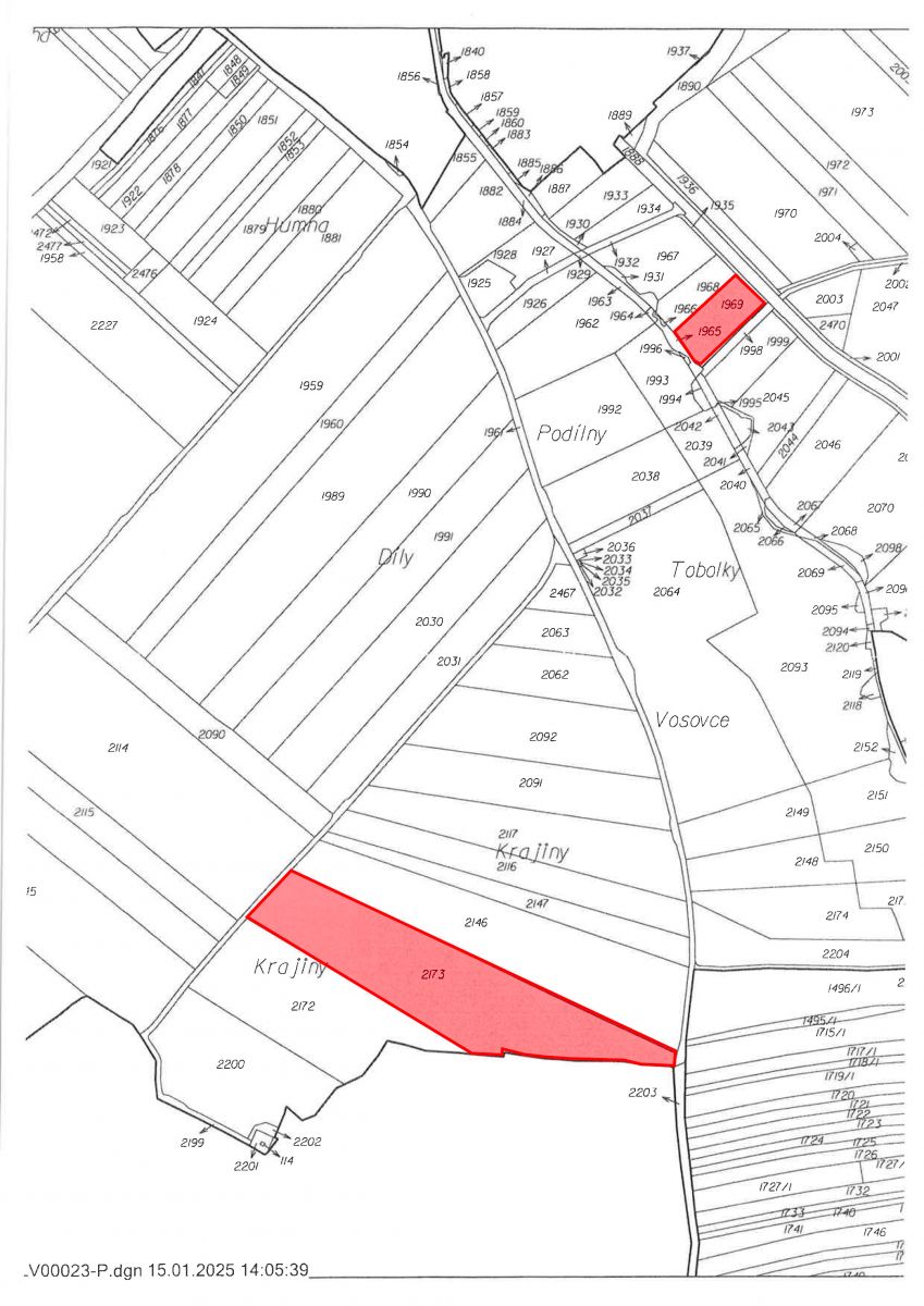
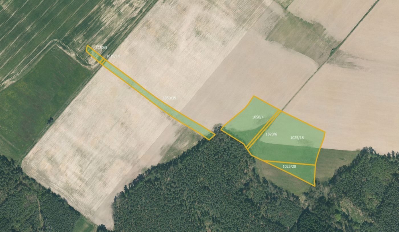
Nabízím k prodeji soubor pozemků ve výlučném vlastnictví o velkorysé výměře 52 855 m v katastrálním území Vlastiboř u Soběslavi, okres Tábor. Pozemky jsou zapsány na listu vlastnictví č. 23 a jedná se o tyto parcely: 524/29, 597, 652, 695, 711/12, 718, 753, 792, 825/7, 836, 1025/18, 1025/28, 1050/4, 1050/39, 1150/5, 1657/78, 1819/14 a 1820/6. V katastrálním území aktuálně proběhly pozemkové úpravy, které nabízené pozemky scelily do kompaktnějších celků - nové uspořádání parce najdete ve fotogalerii. Převážnou část tvoří orná půda o celkové výměře 46 152 m. Dále je zde zastoupen trvalý travní porost (5 411 m), ostatní plocha (1 420 m) a vodní plocha (63 m). Chcete-li získat více informací, obraťte se na našeho zkušeného makléře. Kontaktní údaje naleznete v inzerci. Rádi s vámi nabídku projdeme a zodpovíme dotazy. Majitel si vyhrazuje právo vybrat kupujícího na základě nabídky.


