Prodej - pozemek pro bydlení, 1 978 m²
Stavební pozemek v centru obce - pro bydlení nebo investici
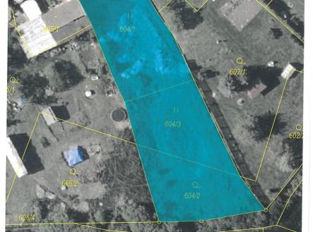
Proč bydlet na poli za obcí, když můžete mít dům na návsi? Představuji vám výjimečný stavební pozemek v obci Okořín nedaleko Jirkova (10 minut autem). Jeho čelo tvoří proluku původní zástavby nedaleko návsi. Je rovinatý a díky svému tvaru nabízí různé varianty využití : - dům v uliční čáře s velkou zahradou - dům v zahradě dále od komunikace - dva samostatně stojící domy Celková výměra je 1973 m2, z toho v platném územním plánu je rozděleno takto : - 972 m2 jako zastavitelná plocha (pozemek p.č. 604/1) - 1 006 m2 jako zahrada s podmíněným využitím pro výstavbu objektu nízkopodlažního bydlení Aktuálně je v závěrečné fázi schvalování nového územního plánu, kde je již celá plocha zastavitelná jako venkovské bydlení. Díky tomu, že dál za těmito pozemky jsou jen pole, máte zajištěn klid a soukromí. Inženýrské sítě jsou v dosahu s možností napojení. Pokud hledáte tento typ bydlení, pak zavolejte, velmi rád vám sdělím osobně více informací. Těším se na setkání. Prodávající si vyhrazuje právo vybrat kupujícího na základě jím zvolených kritérií.


