Prodej - dům/vila, 150 m²
Prodej rodinného domu 150 m2, Stará Paka
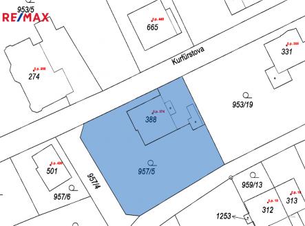
Nabízíme k prodeji rodinný dům v klidné části Staré Paky, který je určen k demolici nebo kompletní rekonstrukci. Jedná se o samostatně stojící cihlový dům se dvěma nadzemními podlažími, o užitné ploše 150 m² a kompletně oplocenou zahradou o výměře 723 m². K nemovitosti je zpracován projekt a vydáno stavební povolení na výstavbu dvojdomu se zastavěnou plochou 294 m². Nový objekt je navržen s napojením na veřejný vodovod a kanalizaci. Veškerá občanská vybavenost se nachází v Nové Pace, vzdálené 4 km nebo v Jičíně, vzdáleném 18 km. Tato nabídka představuje zajímavou příležitost pro investory i zájemce o vlastní bydlení dle vlastních představ. Pro více informací mě neváhejte kontaktovat.


