Prodej - výrobní prostor, 31 345 m²
Prodej komerčního areálu 31.345 m², Sokolov
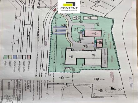
Prodej komerčního areálu Karlovarský kraj, Sokolov. Exkluzivně a bez provize Vám nabízíme prodej samostatného komerčního areálu vhodného pro skladování nebo výrobu o velikosti pozemku 31345 m². Zastavěná plocha je 5907 m² a nabízí další možnosti výstavby. Celá výrobní hala je zateplena včetně střechy a má novou kvalitní fasádu. - výrobní nebo skladová plocha 3372 m², - kanceláře a šatny 360 m² pro 50 zaměstnanců, - další 2 samostatné rozestavěné objekty ze železobetonu, - vlastní trafostanice a přípojka plynu, - denní světlo, vytápění horkovodem, - rozvod stlačeného vzduchu - 2x hydraulická nákladní rampa s možností vybudovat další rampy - přímý vjezd, - bezprašná podlaha s nosností minimálně 5 t/m² - čistá výška 5 - 8 m - budova připravená i jako chladící boxy Cena nemovitosti je Kč 70.000.000,-. Rádi Vám zajistíme prohlídku areálu. Pro další informace kontaktujte makléře.


