Prodej - pozemek pro bydlení, 733 m²
Nabízím ke koupi pozemek 733 m2 vhodný ke stavbě RD v obci Přáslavice
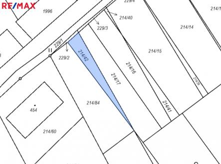
Nabízím ke koupi pozemek o celkové ploše 733 m2 vhodný ke stavbě RD v obci Přáslavice s výhledem na Sv. Kopeček. Jedná se o dvě parcely 604 m2 a 129 m2. Pozemek se nachází v jižní části zastavitelného území obce mimo záplavové území 100leté vody v prostoru mezi bytovými domy. Pozemek se dle platného územního plánu obce Přáslavice nachází ve stabilizované, resp. změnové ploše S – smíšené obytné. Přístup k pozemku je umožněn z jižní strany ze zpevněné komunikace. Přístup z veřejných komunikací je tedy plně zajištěn. Pozemek není připojen na žádné inženýrské sítě, nicméně v ulici se nacházejí veškerá vedení inženýrských sítí – elektřina, vodovod, kanalizace a plynovod. Okraj obce poblíž rozhledny Božky a dětského hřiště s venkovní posilovnou. Cena je předmětem jednání – majitel je otevřen rozumné dohodě při seriózním zájmu.


