Prodej - pozemek, ostatní, 889 m²
Spoluvlastnický podíl | pozemek | Praha 6 - Břevnov
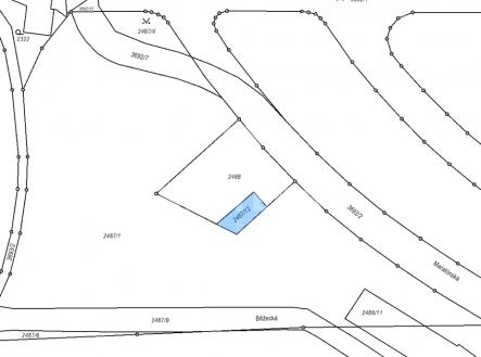
Nabízíme k prodeji spoluvlastnický podíl o velikosti id. 6/16 na pozemcích v lukrativní pražské čtvrti - Břevnov. Pozemek parc. č. 2488 o výměře 786 m2 – jiná plocha, ostatní plocha Pozemek parc. č. 2487/12 o výměře 103 m2 – jiná plocha, ostatní plocha Pozemky se nachází na Praze 6 – Břevnově, v trojúhelníku ulic Maratónská, Skokanská a Běžecká. Lokalita je dobře dopravně dostupná. Ve vzdálenosti cca 200m se nachází sportovní areál Strahov. V místě (cca 100 m) je možnost napojení na veškeré inženýrské sítě. Přístup k pozemku je po zpevněné komunikaci, v okolí pozemku je možnost parkování podélně na obecních komunikacích. Terén pozemku je mírně svažitý, v současné době se na něm nachází trvalý porost. Dle stávajícího územního plánu je pozemek situován v plochách S03 – částečně urbanizované rekreační plochy. Hlavní využití: plochy s omezenou zastavitelností sloužící rekreaci, oddechu, naučným, poznávacím a sportovním aktivitám v přírodě, které podstatně nenarušují přírodní charakter území a jejichž hlavní součástí je zeleň. Přípustné využití: Zeleň, areály volného času, přírodní koupaliště, otevřené bazény v přírodním prostředí, pobytové louky, nekrytá sportovní zařízení bez vybavenosti. Stavby a zařízení pro provoz a údržbu, související s hlavním využitím. Dětská hřiště, drobné vodní plochy, drobná zařízení sloužící pro obsluhu sportovní funkce vodních ploch, cyklistické stezky, jezdecké stezky, pěší komunikace a prostory, liniová vedení technické infrastruktury. NESTERA je připravena Vám vyřídit nejvýhodnější financování nemovitosti a také její následnou správu a pronájem. Umíme připravit komplexní řešení v oblasti financí – pojištění, investice, finanční analýzu a s tím související unikátní životní plán prosperity. Pro více informací kontaktujte tým NESTERA.


