Prodej bytu, 2+kk, 55 m²
Prodej bytu 2+kk 55 m²
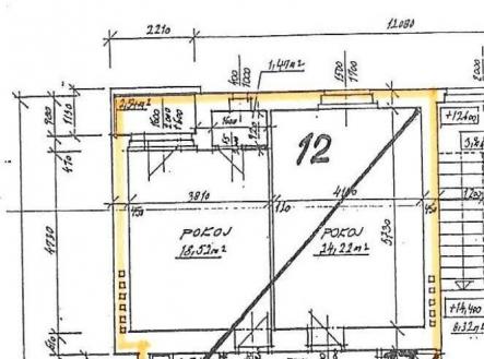
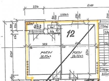
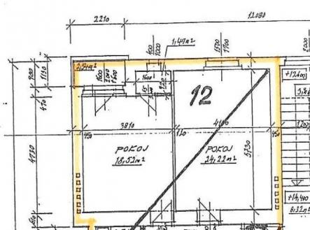
Nabízíme k prodeji byt v atraktivní části Prahy 9 o dispozici 2+kk. Tento cihlový byt s vysokými stropy se nachází ve 4.patře (5.podlaží) a nabízí celkovou podlahovou plochu 64 m². Velmi tichý, světlý, orientace SSZ (v létě se nepřehřívá, není třeba klimatizace). Vytápění plynem - WAWky s odtahem zplodin přes zeď. Byt je ve velmi dobrém stavu, v čase procházel postupnou rekonstrukcí - chodba, koupelna, nová okna, revitalizace balkonu,... Je částečně vybaven - kuchyňská linka a vestavěné skříně jsou zahrnuty v ceně. V chodbě jsou nosné úložné podhledy, ve kterých lze uskladnit např. sezonní věci, včetně lyží či snowboardů. Byt disponuje praktickým balkónem o rozloze 2,5m², ideální na sušení prádla, ranní kávu, případně cigaretu. Sklepní kóje má 7m² a je v původní stavu, lze jednoduše revitalizovat. Součástí prodeje je 1/2 podíl na společné předsíni se sousedním bytem (nezahrnuto v inzerované ploše). V budově v současné době není výtah. V docházkové vzdálenosti zastávky několika tramvajových linek (3min), stanice metra Českomoravská a Palmovka (5min), stejně tak vlakové nádraží Praha Libeň (10min). OC Harfa a O2 Arena rovněž v pěší dostupnosti několika minut. Parkování v ulici, cena rezidenčního parkování v Praze 9 je 1200 Kč/rok/1.vozidlo. Přes energetickou třídu budovy E je byt energeticky málo náročný - viz.přehledy spotřeb plynu a el.energie (současný dodavatel MND) - detailní provozní náklady za uplynulé roky zájemcům samozřejmě předložíme. Byt byl poslední roky úspěšně pronajímán a je připraven k okamžitému nastěhování či dalšímu pronájmu. Byt je prodáván osobně majiteli - bydleli jsme v něm, starali se o něj a pronajímali ho přes 20 let - víme o něm vše. Pokud vás byt zaujal, neváhejte napsat nebo zavolat, rádi Vám vše ukážeme osobně při individuální prohlídce. Všem vážným zájemcům předložíme nezávislou technickou zprávu o stavu nemovitosti od společnosti Nemoinspekt, včetně ověření podlahové plochy. Rozměry z prohlášení vlastníka: - pokoj - 24,22 m2 - pokoj - 18,52 m2 - chodba - 7,05 m2 - spíž - 1,47 m2 - koupelna a WC - 3,19 m2 - sklepní kóje (sklep) - 7,08 m2 - balkon - 2,54 m2 Jednání o ceně možné Tato nemovitost je určena výhradně přímým zájemcům o koupi. Na inzerát můžete také reagovat přímo na webu Bezrealitky: https://www.bezrealitky.cz/nemovitosti-byty-domy/967877-nabidka-prodej-bytu-drahobejlova-praha


