Prodej - pozemek pro komerční výstavbu, 11 023 m²
Prodej pozemky pro komerční výstavbu, 11023m² - Plzeň - Radobyčice
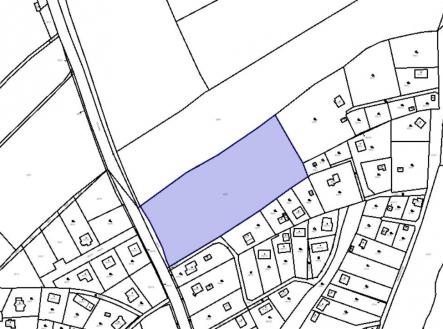
Ve výhradním zastoupení nabízíme pozemky v lokalitě Plzeň - Výsluní, katastrální území Radobyčice, jedné z nejoblíbenějších lokalit pro rodinné bydlení. Pozemky o velikosti 11023m² se nacházejí u příjezdové komunikace směrem z Doudlevec do Radobyčic, aktuálně jsou vedené jako orná půda. Je však podaná žádost u příslušného úřadu o změnu územního plánu se záměrem výstavby rodinných domů vzhledem k povaze lokality. V současné době jsou pozemky pronajaté pro zemědělskou činnost, pachtovní smlouva se každoročně obnovuje a je možné ji ukončit dle smluvních podmínek. Výhodná investice! V případě dalších dotazů, či zájmu o prohlídku prosím volejte makléře. Těšíme se na viděnou.


