Prodej - pozemek pro bydlení, 2 412 m²
Prodej dvou pozemků o celkové výměře 2 412 m2, Novosedly na Moravě
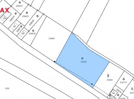
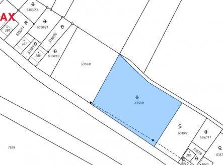
Nabízíme výhradně k prodeji dva sousední, k sobě přiléhající pozemky o celkové výměře 2412 m2 v Novosedlech na Moravě. Jedná se o dobře přístupné, nezastavěné pozemky v lokalitě vinných sklepů a rekreačních objektů. Pozemky jsou situované v zelené, okrajové části obce Novosedly. Pozemek parc. č. 5350/8 má výměru 1 411 m2. Sousední pozemek parc.č. 5350/9 má výměru 1 001 m2. Nabízené pozemky jsou v územním plánu charakterizovány jako území určené k rekreaci, přesněji k individuální rekreaci včetně objektů vinných sklepů. Jedná se o tzv. rekreační plochy v přírodě s určeným způsobem zastavitelnosti. Charakter případné budoucí zástavby na nabízených pozemcích musí splňovat požadavky na stavbu pro individuální rekreaci a respektovat měřítko a druh okolní zástavby. Novosedly, obec v žádané jihomoravské oblasti Mikulova, disponují plnou občanskou vybaveností. Celkové umístění a polohu pozemků lze nazvat jako pěknou, otevřenou, jen s mírně svažitou, slunnou jihozápadní orientací. V místě jsou k napojení inženýrské sítě (voda, elektřina). Pozemky mají dobrou obslužnost a přiléhají k místní okrajové ulici, která přechází v polní cestu. Místo je celkově klidné, v pochozí vzdálenosti od železniční zastávky Novosedly. Autem Hrušovany nad Jevišovkou cca 10 km, Mikulov 12 km. Doporučujeme pro ty, kteří touží poznávat a naplno si užívat krásy jižní Moravy v oblasti Pálavy a Lednicko-valtického areálu v té nejautentičtější podobě, přímo mezi vinohrady, mezi vinnými sklepy, na vinařské stezce, v malebném vinařském kraji. Prodávající si vyhrazuje právo vybrat kupujícího na základě jím zvolených kritérií.


