Prodej - pozemek, ostatní, 2 679 m²
Prodej pozemků Nové Hrady u Skutče
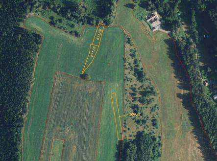
Nabízíme k prodeji tři pozemky o celkové výměře 2 679 m2 nedaleko obce Nové Hrady u Skutče.V katastru nemovitostí jsou vedeny jako orná půda a trvalý travní porost. Velká část vyměry je vedena ve veřejném registru půdy LPIS s možností uplatnění dotace. Obec Nové Hrady se nachází v okrese Ústí nad Orlicí, kraj Pardubický. Významným turistickým cílem oblasti je chráněný přírodní útvar Toulovcovy maštale tvořený pískovci bizarních tvarů, vzniklými v důsledku větrné a vodní eroze. Svojí rozlohou přes 10 km2 je lokalita vhodná k turistice, cykloturistice i rekreaci. Název katastrálního území je Nové Hrady u Skutče. V případě zájmu nás neváhejte kontaktovat.


