Prodej - pozemek, ostatní, 80 m²
Ostatní plocha o výměře 80 m2, podíl 1/1, katastrální území Milavče, obec Milavče, obec s rozšířenou
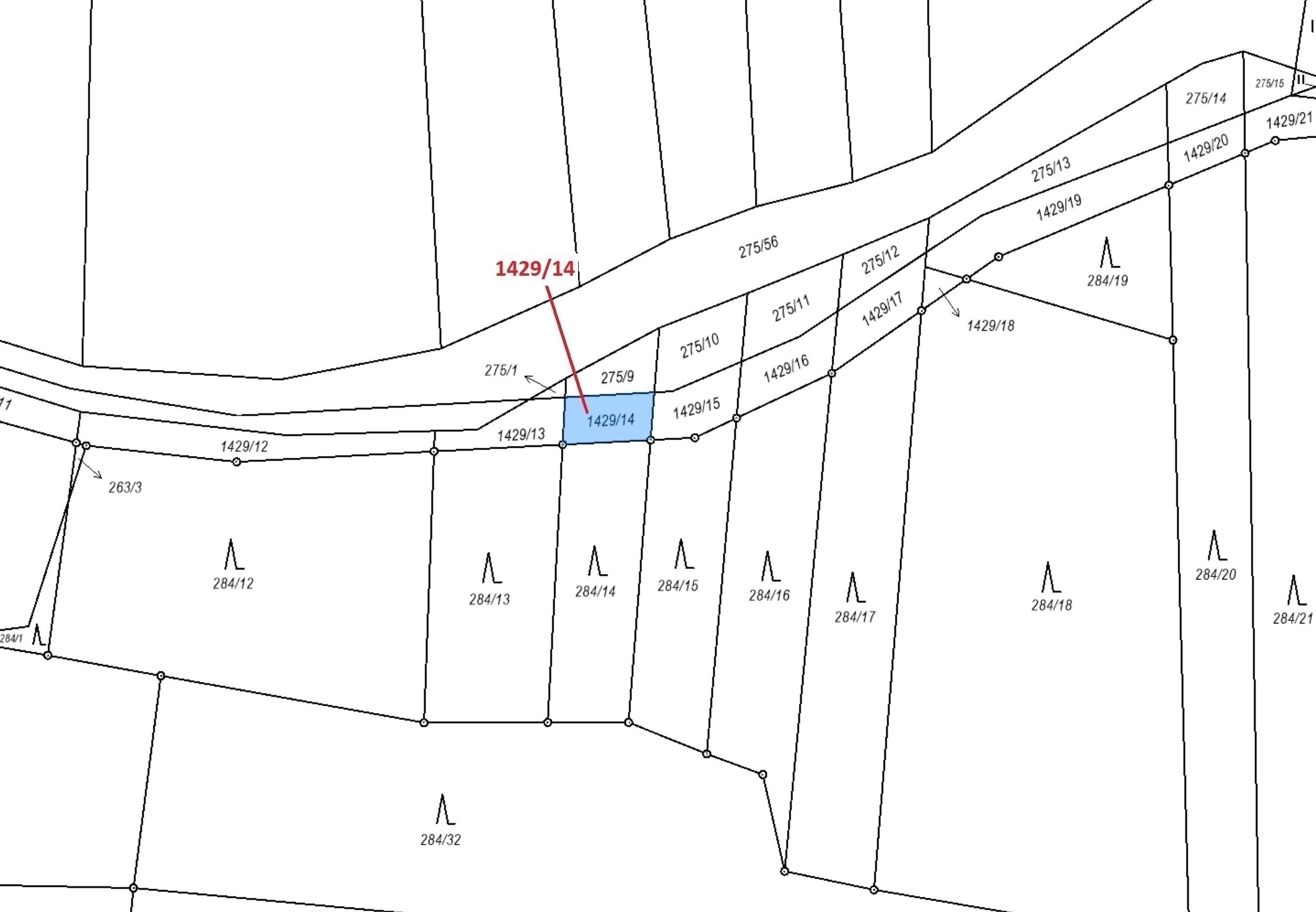
Ostatní plocha o výměře 80 m2, parcelní číslo 1429/14, podíl 1/1, katastrální území Milavče, obec Milavče, obec s rozšířenou působností Domažlice, okres Domažlice, Plzeňský kraj.

