Prodej - pozemek, zemědělská půda, 72 m²
Orná půda o výměře 72 m2, podíl 1/1, katastrální území Milavče, obec Milavče, obec s rozšířenou půso
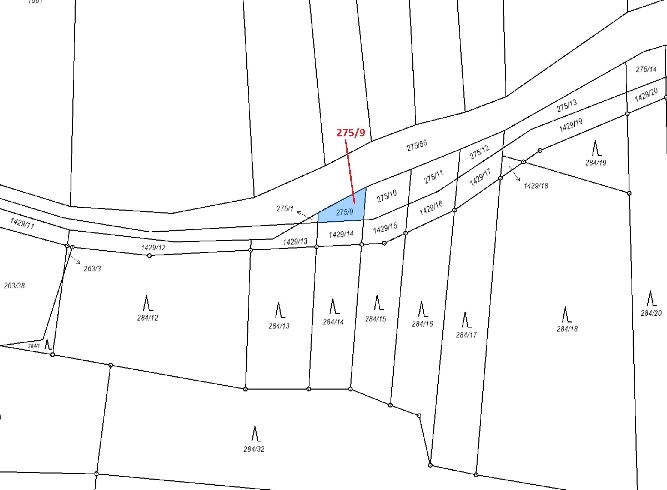
Orná půda o výměře 72 m2, parcelní číslo 275/9, podíl 1/1, katastrální území Milavče, obec Milavče, obec s rozšířenou působností Domažlice, okres Domažlice, Plzeňský kraj.

