Prodej - penzion, 564 m²
Prodej, Pension 747 m2, Kunovice
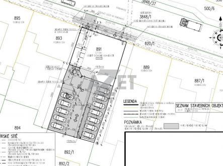
Výstavba PENZIONU KUNOVICE - STAVEBNÍ POVOLENÍ V RUCE Okamžitý start - 14 ubytovacích jednotek - 743 m and sup2; užitné plochy PŘIPRAVENÝ INVESTIČNÍ PROJEKT Výjimečná příležitost pro investory! Nabízíme kompletně připravený projekt výstavby penzionu v Kunovicích s platným stavebním povolením a hotovou projektovou dokumentací. Začněte stavět prakticky ihned! KLÍČOVÉ PARAMETRY INVESTICE Užitná plocha: 743,60 m and sup2; na třech podlažích Kapacita: 14 ubytovacích jednotek + wellness zázemí Parkování: 12 stání na vlastním pozemku (včetně ZTP) Lokalita: Kunovice, ul. Lidická - výborná dostupnost Stav: platné stavební povolení, okamžitý start možný Klíčové výhody investice: platné stavební povolení umožňuje okamžitý start bez zbytečného zdržení, atraktivní lokalita v zavedené zástavbě s výbornou dostupností a strategická poloha u hlavní komunikace podporují vysoký potenciál vytíženosti, v objektu je zároveň možné vybudovat menší bytové jednotky pro dlouhodobé nájemní bydlení. K dispozici je velkorysá užitná plocha 743,60 m and sup2; na třech podlažích. DISPOZICE PENZIONU Podlaží Plocha Pobytová plocha Jednotky 1.NP 188 m and sup2; 58 m and sup2; 3 jednotky 2.NP 277 m and sup2; 103 m and sup2; 6 jednotek Podkroví 278 m and sup2; 67 m and sup2; 5 jednotek CELKEM 743 m and sup2; 28 m and sup2; 14 jednotek TECHNICKÉ ŘEŠENÍ Konstrukce: Nové nosné zdivo Ytong, příčky SDK Kontaktní zateplení 150 mm Nové stropy (ocelové profily + ŽB deska) Krov a krytina Prefa Prefalz Plastová okna s trojsklem Vytápění a TUV: Elektrické podlahové vytápění Elektrické bojlery 100 l Sítě: Vodovod, kanalizace, elektřina - připojeno Retenční nádrž pro dešťové vody LOKALITA A DOSTUPNOST Kunovice - ulice Lidická Strategická poloha u hlavní komunikace Zavedená zástavba rodinných domů Výborné dopravní napojení Blízkost městské infrastruktury Vlastní dvůr s parkováním FLEXIBILNÍ MOŽNOSTI Územní plán umožňuje změnu záměru na: Dům s nájemními byty Apartmánový dům Firemní ubytování Kombinace bydlení a služeb VHODNÉ PRO Investory hledající okamžitý start projektu Developery se zaměřením na ubytovací služby Podnikatele v cestovním ruchu Firmy řešící ubytování zaměstnanců STAVEBNÍ ÚDAJE Zastavěná plocha: 362 m and sup2; Obestavěný prostor: 3.868 m and sup3; Pozemek: s vlastním dvorem a parkováním Stav objektu: připraven k rekonstrukci dle PD CO ZÍSKÁTE Platné stavební povolení Kompletní projektovou dokumentaci Připravený pozemek se sítěmi Možnost okamžitého startu Flexibilní využití objektu Garantovanou návratnost investice UPOZORNĚNÍ Vizualizace jsou ilustrativní a slouží k lepší představě o potenciálu projektu. Závazné jsou údaje z projektové dokumentace. KONTAKT Maximalizujte potenciál této investice! Pro kompletní projektovou dokumentaci, finanční analýzu projektu, domluvení prohlídky nebo individuální investiční scénář mě kontaktujte. Připraven k okamžitému startu Platné povolení Výnosná investice Investiční projekt s garantovaným potenciálem v atraktivní lokalitě Kunovic

