Prodej - pozemek pro bydlení, 1 045 m²
Prodej pozemku pro bydlení – Křičeň
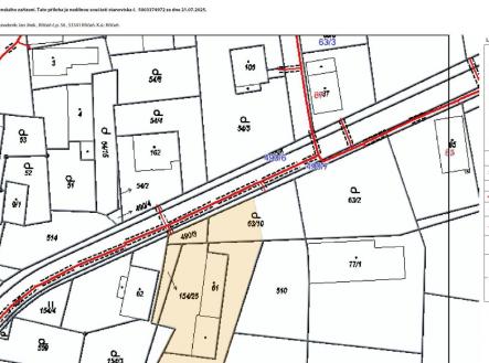
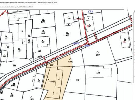
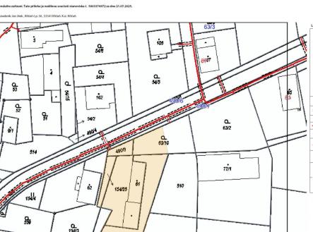
Nabízím vám pozemek v obci Křičeň (3 km od Lázní Bohdaneč) o celkové ploše 1045 m2. Rovinatý pozemek je přístupný z asfaltové obecní komunikace, která vede z centra obce směrem k vesnici Dolany. Na pozemku je několik vzrostlých ovocných stromů a stodola určena k demolici. Přípojky (viz situační výkresy): Na pozemek je vyvedena obecní kanalizace, dále se zde nachází studna. Elektřina, plyn a CETIN vede při bližší straně silnice. Obecní vodovod je na protější straně silnice. Výhodou nemovitosti je dobrá dopravní dostupnost – 100 m od zastávky autobusu, cca 5 km na dálnici D11. Pro relaxaci lze využít blízkou cyklotrasu a blízké lesy, případně dětské hřiště. V obci najdete obchod. Ostatní zázemí naleznete v prostředí města Lázně Bohdaneč – školy, školky, lékárny, pošta, lázeňský bazén, MHD do Pardubic a další služby. Poznámka: V současnosti probíhá úprava rozměrů pozemku geometrickým plánem pro narovnání hranic tak, aby odpovídaly stávajícímu oplocení. Uvedené rozměry v inzerci již odpovídají novému geometrickému plánu. Kupní cena bude ponížena o náklad spojený s demolicí stavby. Cena je k jednání.


