Prodej - obchodní prostor, 142 m²
Komerční nemovitost na viditelném místě, Karlovy Vary - Dvory
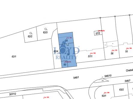
Výborně viditelný komerční objekt na křižovatce ulic Chebská a Kpt. Jaroše v Karlových Varech – Dvorech. Dříve zde bývala vyhlášená prodejna pracovních oděvů s panákem Máňou. Dvoupatrový podsklepený objekt s přístavbou v přízemí a půdou o celkové užitné ploše 142 m2. Nakládací rampa před objektem, dostatek parkovacích míst. Zateplené boční a zadní fasády. Sklep – sklepní místnost s plynoměrem a vodoměrem Přízemí – tři místnosti, WC, skladové prostory v přístavbě Patro – tři místnosti, koupelna se sprchou a WC, bojler Půda – volný prostor pod pultovou střechou, výška 2,2 metru v nejvyšším místě Vytápění plynovým kotlem, ohřev vody bojlerem. Kompletní inženýrské sítě, elektřina 3 x 25 A. Na oploceném pozemku dvě garáže, zděná 5,6 x 6,0 metru a plechová 4,0 x 6,0 metru. Na ploše před domem parkování pro 3 vozy. Celková plocha všech pozemků 367 m2. Široká možnost využití – prodejna, služby, kanceláře, ordinace, sídlo firmy. Místo, kde Vás nikdo nepřehlédne.


