Prodej - pozemek, ostatní, 595 m²
pozemky Kainarova ul., Jihlava
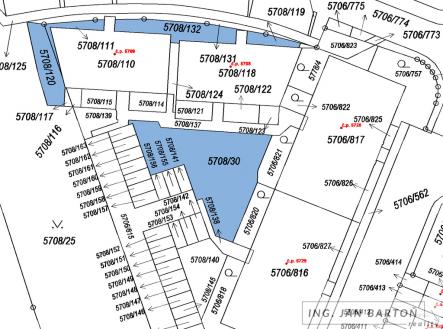
V zastoupení majitele nabízím k prodeji 5 pozemků v Jihlavě nedaleko nemocnice. Jedná se menší travnaté plochy (25, 23, 77, 90 m²) kolem domů v ul. Kainarova 71, 73 a travnatá plocha (380 m²) ve vnitrobloku domů Kainarova 71,73 a Halasova 10,12 navazující na parkovací stání zde. Prodej je možný po jednotlivých pozemcích, dělit nebo vyčlenit menší části z celku. Pro více informací mne prosím kontaktujte.


