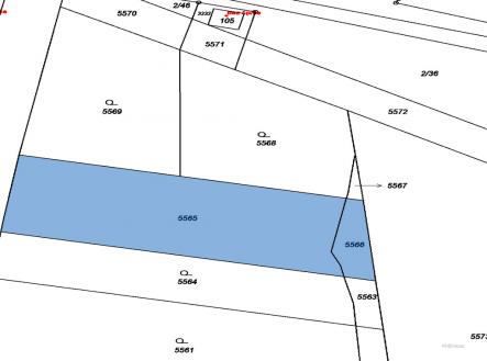
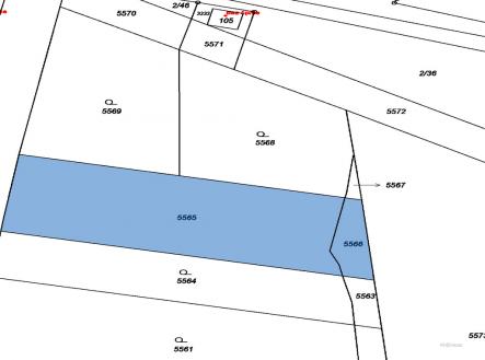
Prodej - pozemek pro bydlení, 2 008 m²
Stavební pozemek 2008m2, obec Damnice u Miroslavi
Exkluzivně nabízíme k prodeji krásný, rovinatý stavební pozemek o výměře 2008 m² pro výstavbu rodinného domu v klidné částI obce Damnice nedaleko Miroslavi. Pozemek má praktický, obdélníkový tvar s uliční šíři 26m. Příjezd je po asfaltové komunikaci. Inženýrské sítě (voda, elektřina, kanalizace) jsou v dosahu přibližně 40 metrů. Díky klidné poloze a dobré dostupnosti je ideální pro výstavbu rodinného domu či rekreačního bydlení. Obec Damnice jsou menší, krásná obec s přátelskou atmosférou, nacházející se asi 5 minut od Miroslavi a 35 minut od Brna. V obci najdete mateřskou školu, obchod, poštu, knihovnu i restauraci. Obec žije aktivním kulturním životem, má sportovní hřiště, dětská hřiště a cyklostezky, které vedou okolní vinicemi a přírodou jihomoravského kraje.


