Prodej - pozemek, ostatní, 174 m²
Vodní plochy a orná půda o výměře 174 m2, podíl 1/1, katastrální území Babice u Uherského Hradiště,
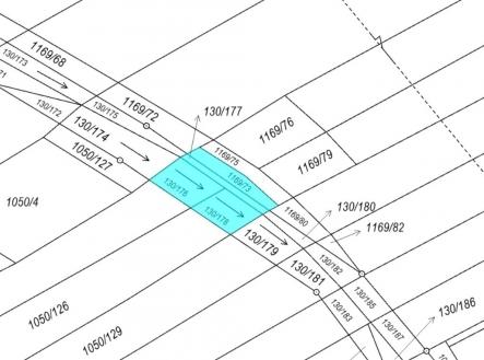
Vodní plochy a orná půda o výměře 174 m2, parcelní čísla 130/176, 130/177, 130/178, 1169/73, podíl 1/1, katastrální území Babice u Uherského Hradiště, obec Babice, obec s rozšířenou působností Uherské Hradiště, okres Uherské Hradiště, Zlínský kraj.

